1 / 3
BouwgrondTe koop
Onmiddellijk beschikbaar

Bouwgrond te koop – Kwakkelstraat 18, 1800 Vilvoorde

1800 Vilvoorde

€ 199.000
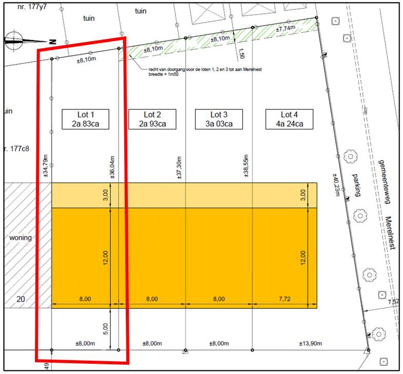
283m² perceel·2026

Beschrijving

Bouwgrond te koop – Kwakkelstraat 18, 1800 Vilvoorde Perceel van 283 m² – Vraagprijs €199.000 Bent u op zoek naar een betaalbare bouwgrond op een strategische ligging tussen Brussel en Mechelen? In de Kwakkelstraat 18 te Vilvoorde vindt u deze interessante bouwgrond van 283 m², ideaal voor wie zijn eigen woning wil realiseren op een centrale maar rustige locatie. Waarom deze bouwgrond? ✔ Centrale ligging in een residentiële straat ✔ Vlotte verbinding naar Brussel, Grimbergen en Machelen ✔ Na...


Wat deze woning biedt

Perceeloppervlakte

283 m²

Bouwjaar

2026

Type woning

Bouwgrond

Regelgeving & Attesten

Elektrische keuring

Niet van toepassing

Stookolietank keuring

Niet van toepassing

Asbestattest

Ja, asbestveilig

Overstromingsgevoeligheid (P-score)

A - Geen risico

Overstromingsgevoeligheid (G-score)

A - Geen risico

Bestemming

Woongebied


Locatie

1800 Vilvoorde

Exacte adres wordt gedeeld na contact met de verkoper.


Maak kennis met de verkoper

MW

Lid sinds februari 2026

€ 199.000

Advertentie ID: b71cd47c

Geplaatst op: 1 maart 2026